Mrs. Jennie Miller Faggen
פעסא בת ר׳ ישראל
Great Ba"las Chesed of Strawberry Mansion, PhiladelphiaDate of Death:
Thu. September 5, 1968 -
Elul 12 5728 (Assumed)
Anyone with biographical information is asked to please send it in.
See CONTACT page for details. Thank you.
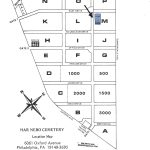
Directions to Kever: Har Nebo Cemetery in Philadelphia, Pennsylvania maintains detailed burial records and will provide assistance upon request. Location: See map picture below.
Name Listed on Cemetery Database: Name listed on marker: Jennie Miller Faggen
Biographical Notes:
Bio Information:
Mrs. Jennie Miller Faggen (1874-1968) was a orthodox Philadelphia woman whose unmatched generosity upheld the Torah world during the challenging interwar years.
She was visited at her 18 room mansion in the Strawberry Mansion neighborhood by many great gedolim including Rav Meir Shapiro, the Dvar Avraham, Rav Elchonon Wasserman, Rav Boruch Ber, Rav Shimon Shkop, the Kli Chemda and many others. The Rebbe Rayatz of Chabad resided in her home for a month during his 1929-30 trip to America.
Credit: Dovi Safier

Credit: Dovi Safier

Credit: Dovi Safier

« Previous: Rabbi Dovid MillerNext: Rabbi Meir Leib Newberger »





What a Baalas-Tzedaka! Many her memory be for a blessing!
I think the Hebrew date of Sep 5th 1968 is 12 Elul not 5 Elul.
Will there be any transportation from Lakewood?
Sorry. I meant to ask if there will be any transportation from Lakewood to the cemetery on the Yahrtzeit. The ad didn’t say.
Worth reading the article in Mishpacha Magazine about her!
One of the best articles I’ve ever read!
https://mishpacha.com/mother-of-all-yeshivos/
I know someone that has a letter by Rav Elchonon Wasserman with his stamp as well to Persia Miller.